Sesja nr XL

UCHWAŁA Nr XL/429/09 RADY MIEJSKIEJ W GRYFINIE z dnia 4 czerwca 2009r. w sprawie wyrażenia zgody na ustanowienie służebności gruntowej przejazdu i przechodu w działce gminnej nr 146/5 , położonej w obrębie ewidencyjnym nr 5 m. Gryfino

UCHWAŁA Nr XL/429/09
RADY MIEJSKIEJ W GRYFINIE
z dnia 4 czerwca 2009r.


w sprawie wyrażenia zgody na ustanowienie służebności gruntowej przejazdu i przechodu w działce gminnej nr 146/5 , położonej w obrębie ewidencyjnym nr 5 m. Gryfino.

Na podstawie art. 18 ust. 2 pkt. 9 lit. „a” ustawy z dnia 8 marca 1990 r. o samorządzie gminnym (Dz. U. z 2001r. Nr 142, poz. 1591; z 2002r. Nr 23, poz. 220, Nr 62, poz. 558, Nr 113, poz. 984, Nr 153, poz. 1271, Nr 214, poz. 1806; z 2003 r. Nr 80, poz. 717, Nr 162, poz.1568; z 2004 r. Nr 102, poz. 1055, Nr 116, poz. 1203, Nr 214, poz. 1806; z 2005 r. Nr 172, poz.1441, Nr 175, poz.1457; z 2006 r. Nr 17, poz. 128, Nr 181, poz. 1337; z 2007 r. Nr 48, poz. 327, Nr 138, poz. 974, Nr 173, poz. 1218; z 2008 r. Nr 180, poz.1111, Nr 223, poz.1458; z 2009r. Nr 52, poz. 420) oraz art. 285 ustawy z dnia 23 kwietnia 1964r. – Kodeks Cywilny (Dz. U. Nr 16, poz. 93 ze zmianami) - uchwala się, co następuje:

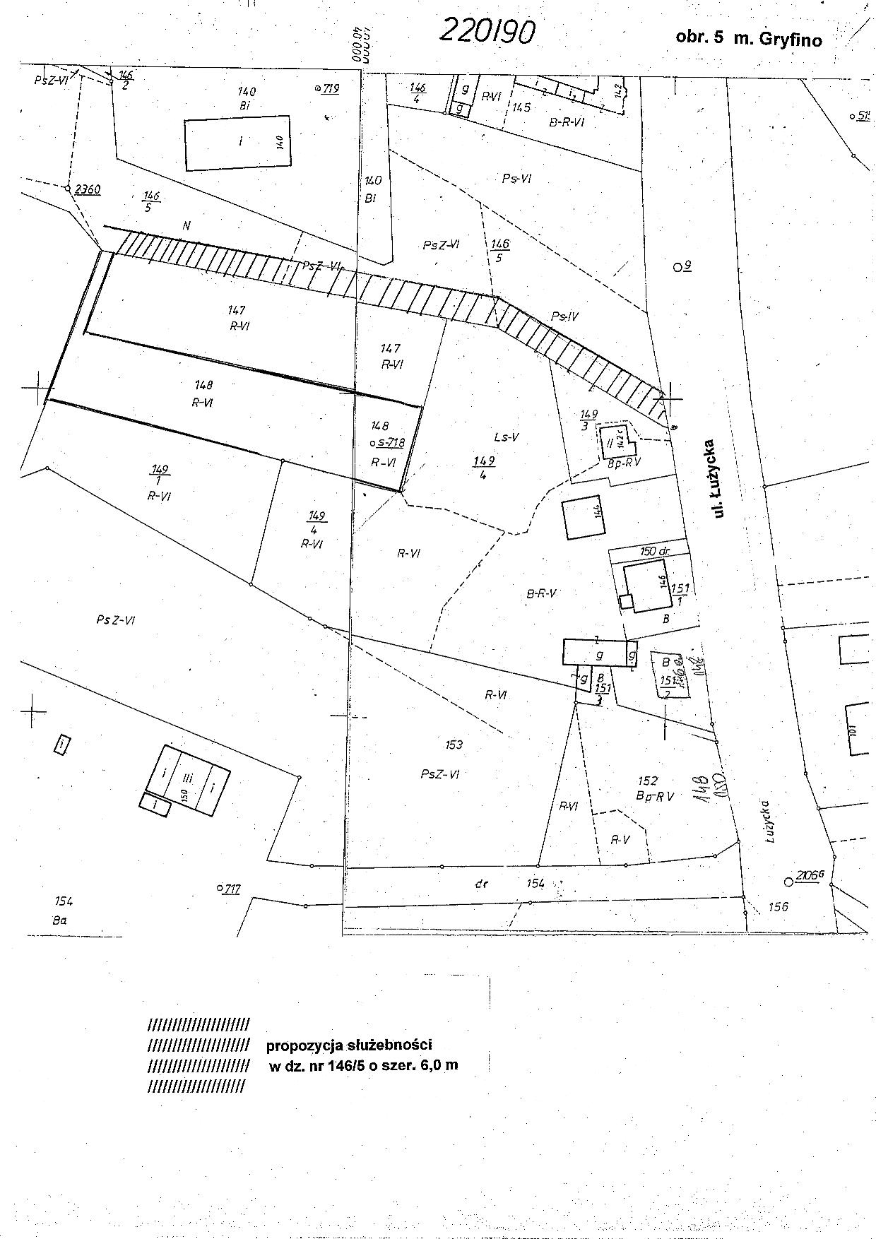
§ 1. Wyraża się zgodę na ustanowienie służebności gruntowej przejazdu i przechodu zapewniającej dostęp do drogi publicznej, w działce gminnej nr 146/5, położonej w obrębie ewidencyjnym nr 5 m. Gryfino na rzecz każdoczesnego właściciela bądź użytkownika działki nr 148, położonej w obrębie ewidencyjnym nr 5 m. Gryfino, zgodnie z załącznikiem graficznym.

§ 2. Służebność ustanawia się do czasu realizacji ustaleń miejscowego planu zagospodarowania przestrzennego miasta i gminy Gryfino obejmującym; obszar I położony w rejonie ul. Łokietka i obszar II położony w rejonie ul. Czechosłowackiej, uchwalonym Uchwałą Nr XLVII/602/02 Rady Miejskiej w Gryfinie z dnia 27 czerwca 2002r.

§ 3. Wykonanie uchwały powierza się Burmistrzowi Miasta i Gminy Gryfino.

§ 4. Uchwała wchodzi w życie z dniem podjęcia.

 

PRZEWODNICZĄCY RADY

Mieczysław Sawaryn

 

U Z A S A D N I E N I E

Działka nr 148 o powierzchni 0,2956 ha, położona w obrębie ewidencyjnym nr 5 m. Gryfino stanowi własność Włodzimierza Bylińskiego. Działka nie posiada dostępu do drogi publicznej. Obsługa komunikacyjna działki została przewidziana w miejscowym planie zagospodarowania przestrzennego miasta i gminy Gryfino obejmującym : obszar I, położony w rejonie ul. Łokietka i obszar II, położony w rejonie ul. Czechosłowackiej, uchwalonym Uchwałą Nr XLVII/602/02 Rady Miejskiej w Gryfinie z dnia 27 czerwca 2002r., z drogi publicznej oznaczonej symbolem II.2.KUd, posiadającym następujące ustalenia:” Ulica dojazdowa o powierzchni w liniach rozgraniczających 0,3887 ha; planowana szerokość w liniach rozgraniczających – zmienna (8, 10 i 12m); planowana szerokość jezdni 5m; planowany chodnik obustronny”.
Właściciel działki wystąpił do Gminy z wnioskiem o ustanowienie w działce gminnej nr 146/5 służebności przejazdu i przechodu na rzecz swojej działki nr 148.
Do czasu realizacji ustaleń planu nie ma przeciwwskazań do ustanowienia w/w służebności w granicach planowanej drogi dojazdowej, zgodnie z załączonym wyrysem z planu.

Sporządziła:
Helena Pasztaleniec