Sesja nr XIV

UCHWAŁA NR XIV/194/03 RADY MIEJSKIEJ W GRYFINIE z dnia 30 października 2003 r.w sprawie zmiany miejscowego planu ogólnego zagospodarowania przestrzennego miasta i gminy Gryfino, obejmującej teren położony przy ul. Polnej w obrębie Wełtyń.

UCHWAŁA NR XIV/194/03
RADY MIEJSKIEJ W GRYFINIE
z dnia 30 października 2003 r.
 

w sprawie zmiany miejscowego planu ogólnego zagospodarowania przestrzennego miasta i gminy Gryfino, obejmującej teren położony przy ul. Polnej w obrębie Wełtyń. 

Na podstawie art. 18 ust. 2 pkt. 5 ustawy z dnia 8 marca 1990r. o samorządzie gminnym (Dz. U. z 2001r. Nr 142, poz. 1591; z 2002r. Nr 23, poz. 220, Nr 62, poz. 558, Nr 113, poz. 984, Nr 214, poz. 1806) oraz art. 26 ustawy z dnia 7 lipca 1994r. o zagospodarowaniu przestrzennym (Dz. U. z 1999r. Nr 15, poz. 139; Nr 41, poz. 412 i Nr 111, poz. 1279;  z 2000r. Nr 12, poz. 136, Nr 109, poz. 1157 i Nr 120, poz. 1268; z 2001r. Nr 5, poz. 42, Nr 14, poz. 124, Nr 100, poz. 1085, Nr 115,  poz. 1229 i Nr 154, poz. 1804 oraz z 2002r. Nr 25, poz. 253, Nr 113,  poz. 984 i Nr 130,  poz. 1112) w związku z art. 85 ust. 2 ustawy z dnia 27 marca 2003r. o planowaniu i zagospodarowaniu przestrzennym (Dz.U. z 2003r. Nr 80, poz. 717) uchwala się co następuje:

Rozdział 1
Przepisy ogólne

§ 1.

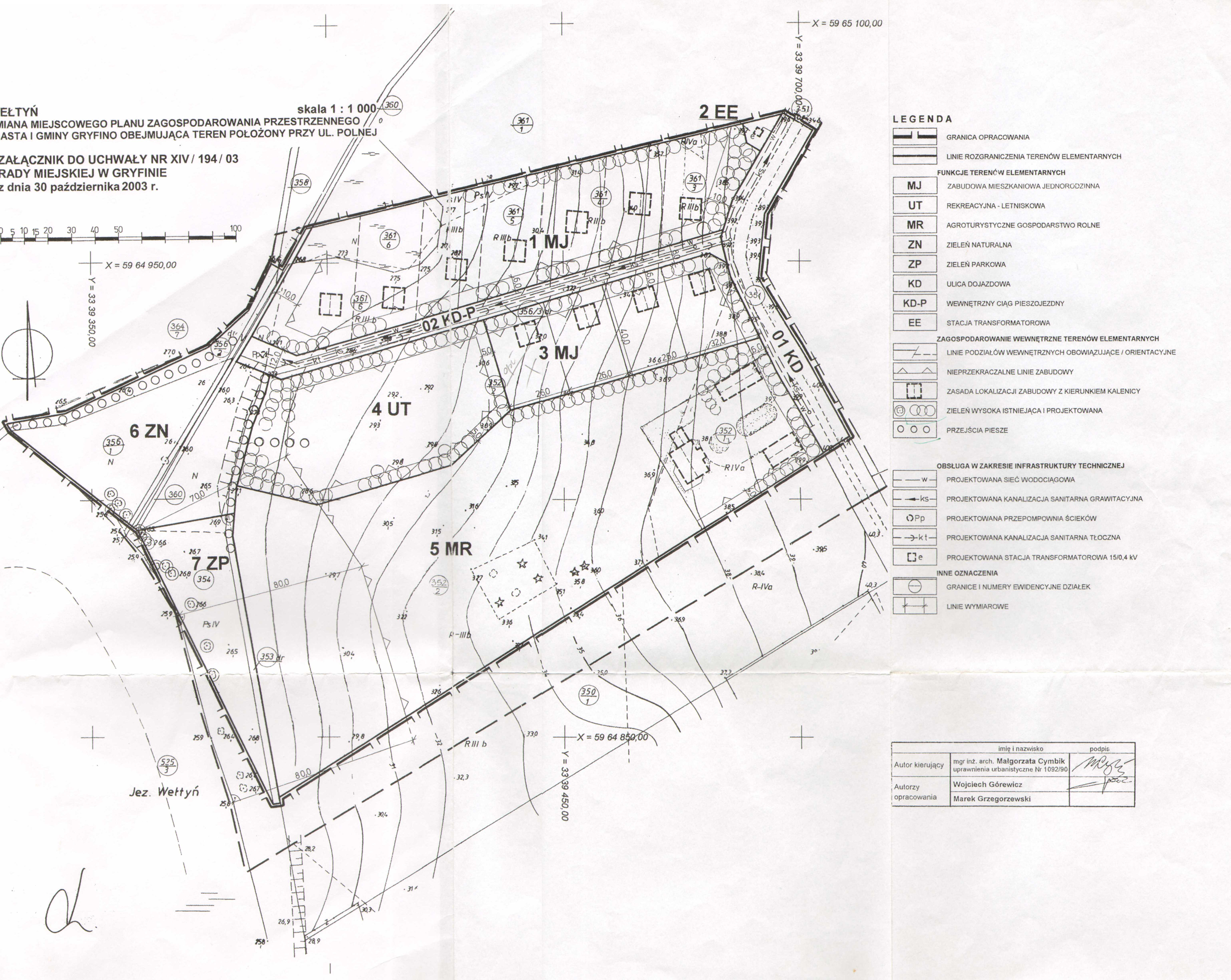
  1. Zgodnie z Uchwałą Nr XXXI/375/01 Rady Miejskiej w Gryfinie z dnia 26 kwietnia 2001 r. w sprawie przystąpienia do sporządzenia zmiany, uchwala się zmianę miejscowego planu zagospodarowania przestrzennego gminy Gryfino, obejmującą działki o numerach ewidencyjnych: 352/1, 352/2, 353, 354, 356/1, 356/3, 361/3, 361/4, 361/5, 361/6 oraz części działek o nr: 351, 356/2, 358, 360 w obrębie geodezyjnym Wełtyń, o łącznej powierzchni 5,28 ha, z przeznaczeniem na cele zabudowy mieszkaniowej i rekreacyjno - wypoczynkowej.
  2. Granice obszaru opracowania zmiany stanowią: od północy - granice działek nr: 356/2, 361/6, 361/5, 361/4, 361/3, od wschodu - granica działki nr 351, od południa - granice działek nr 352/1 i 352/2, od zachodu granice działek nr 354 i 356/1; granice te oznaczono na rysunku zmiany planu w skali 1:1000, stanowiącym załącznik do niniejszej uchwały.

§ 2

  1. Ustala się następujące zasady konstrukcji zmiany planu :
    1. obszar objęty zmianą podzielony został na 9 terenów elementarnych,
    2. dla wyodrębnionych terenów elementarnych sformułowano szczegółowe ustalenia obowią-zujące dla całego terenu elementarnego, sporządzone w formie tabeli - „karty terenu”,
    3. szczegółowe ustalenia zawarte w ,,kartach terenów”, są jedynymi pełnymi ustaleniami odniesionymi do wyodrębnionych fragmentów przestrzeni,
    4. dla całego obszaru objętego zmianą, w § 4 niniejszej uchwały, ustalone zostały zasady obsługi w zakresie infrastruktury technicznej,
    5. każdy teren elementarny oznaczono na rysunku zmiany w skali 1:1000, będącym załącznikiem do niniejszej uchwały oraz w tekście zmiany planu (§ 3 niniejszej uchwały) identyfikatorem cyfrowo - literowym (SYMBOL TERENU); liczba oznacza kolejny numer terenu, symbol literowy oznacza główną funkcję terenu lub klasyfikację funkcjonalną ulicy.
  2. Ustala się następujący układ formalny, zawartych w § 3, ustaleń szczegółowych dla terenów elementarnych :
    1. „karta terenu” dla poszczególnych terenów elementarnych segreguje treść ustaleń w 6 pkt:
      • powierzchnia terenu w ha – pkt 1,
      • ustalenia funkcjonalne – pkt 2,
      • ustalenia kompozycji i form zabudowy – pkt 3,
      • ustalenia zasad parcelacji – pkt 4,
      • ustalenia ekologiczne – pkt 5,
      • ustalenia komunikacyjne – pkt 6,
    2. każde sformułowanie tekstowe w punkcie „karty terenu” ( za wyjątkiem punktu 1 ), jeśli występuje więcej niż jedno sformułowanie, oznaczone jest kolejną literą,
    3. nie każde ustalenie tekstowe posiada swoje odwzorowanie na rysunku zmiany,
  3. Ustala się następujące zasady konstrukcji rysunku zmiany planu :
    1. rysunek zmiany w skali 1:1000 jest integralną częścią niniejszej uchwały,
    2. każdy teren elementarny jest wyodrębniony na rysunku zmiany i oznaczony symbolem zgodnym z odpowiednią „kartą terenu”,
    3. każde ustalenie przedstawione na rysunku zmiany znajduje odpowiednie odwzorowanie w ustaleniu tekstowym,
  4. obowiązującymi są następujące ustalenia oznaczone graficzne na rysunku zmiany:
    1. linie rozgraniczenia terenów elementarnych,
    2. zasady podziałów na działki z dopuszczalną, o ile występuje, tolerancją określoną w   „karcie terenu”,
    3. nieprzekraczalne linie zabudowy,
    4. zasada lokalizacji zabudowy z oznaczonym kierunkiem głównych kalenic,
  5. zagospodarowanie wewnętrzne terenów elementarnych jest propozycją, o ile ustalenia w „karcie terenu” i określone wyżej w pkt 4 nie stanowią inaczej,
  6. wszystkie symbole graficzne użyte na rysunku zmiany zostały objaśnione w legendzie.

Rozdział 2

Przeznaczenie terenów i zasady zagospodarowania

§ 3. Dla terenów elementarnych wprowadza się następujące ustalenia:

1. Teren o symbolu 1 MJ z przeznaczeniem na cele zabudowy mieszkaniowej jednorodzinnej.

1) powierzchnia terenu 0,94 ha
2) ustalenia   funkcjonalne Zabudowa mieszkaniowa jednorodzinna.
3) ustalenia kompozycji  i form zabudowy
  1. Zabudowa wolnostojąca.
  2. Nieprzekraczalne linie zabudowy - w/g rysunku zmiany.
  3. Zakaz lokalizacji zabudowy w odległości mniejszej niż 4,0 m od granicy działki sąsiedniej.
  4. Łączna powierzchnia zabudowy - do 25 % powierzchni działki.
  5. Wysokość zabudowy zasadniczej - 2 kondygnacje nadziemne.  Wysokość do kalenicy - do 9,0 m od ± 0,00.  Dopuszcza się dominanty wysokościowe na powierzchni do 10 % jego powierzchni zabudowy.
  6. Wysokość wolnostojącej zabudowy towarzyszącej - do 2 kond. nadziemnych. Wysokość do kalenicy - do 6,5 m.
  7. Poziom ± 0,0 - do 0,3 m n.p.t.  od strony wschodniej.
  8. Dachy symetryczne dwupołaciowe - z dopuszczeniem lukarn, ryzalitów i.t.p. - o kącie nachylenia połaci głównych 40÷450 ;  nie dotyczy tarasów i dobudowanych garaży.  Usytuowanie kalenic w/g rys. zmiany.
  9. pokrycia ceramiczne, dachówką cementową lub blachodachówką   - matowe, w kolorach naturalnej ceramiki.
  10. Ogrodzenia bez cokołów, wykonane z materiałów naturalnych lub żywopłoty chronione siatką; od strony ulic o wys. 1,2÷1,3 m.
4) ustalenia   zasad parcelacji
  1. Podział na działki - istniejący .
  2. Dopuszcza się podział w/g zasady określonej na rys. zmiany; minimalna szerokość działki - 25,0 m.
  3. Dopuszcza się realizacje inwestycji na połączonych działkach.
5) ustalenia   ekologiczne
  1. Powierzchnia terenu biologicznie czynna - min. 60% powierzchni działki - bez powierzchni tarasów.
  2. Istniejący zbiornik wodny do zachowania, z przekształceniem na cele ozdobne.
  3. Konieczne zachowanie dostępu do rowu melioracyjnego na terenie 6 ZN.
  4. Zasada kompozycji zieleni wysokiej w/g rys. zmiany.
6) ustalenia komunikacyjne Parkowanie w granicach własnej działki.

2. Teren o symbolu 2 EE z przeznaczeniem na cele stacji transformatorowej.

1) powierzchnia terenu 0,01ha
2) ustalenia   funkcjonalne Teren infrastruktury technicznej - stacja transformatorowa   15/0,4 kV.
3) ustalenia kompozycji    i form zabudowy Nie wprowadza się ustaleń.
4) ustalenia   zasad parcelacji Nie wprowadza się ustaleń.
5) ustalenia   ekologiczne Nie wprowadza się ustaleń.
6) ustalenia komunikacyjne Nie wprowadza się ustaleń.

3. Teren o symbolu 3 MJ z przeznaczeniem na cele zabudowy mieszkaniowej jednorodzinnej.

1) powierzchnia terenu 0,44 ha
2) ustalenia   funkcjonalne Zabudowa mieszkaniowa jednorodzinna.  
3) ustalenia kompozycji    i form zabudowy
  1. Zabudowa wolnostojąca.
  2. Nieprzekraczalne linie zabudowy - w/g rysunku zmiany.
  3. Zakaz lokalizacji zabudowy w odległości mniejszej niż 4,0 m od granicy działki sąsiedniej.
  4. Łączna powierzchnia zabudowy - do 25 % powierzchni działki.
  5. Wysokość zabudowy zasadniczej - 2 kondygnacje nadziemne. Wysokość do kalenicy - do 9,0 m od ± 0,00.  Dopuszcza się dominanty wysokościowe na powierzchni do 10 % jego powierzchni zabudowy.
  6. Wysokość wolnostojącej zabudowy towarzyszącej - do 2 kond. nadziemnych. Wysokość do kalenicy - do 6,5 m.
  7. Poziom ± 0,0 - do 0,3 m n.p.t.  od strony wschodniej.
  8. Dachy symetryczne dwupołaciowe - z dopuszczeniem lukarn, ryzalitów i.t.p. - o kącie nachylenia połaci głównych 40÷450 ;   nie dotyczy tarasów i dobudowanych garaży.  Usytuowanie kalenic w/g rys. zmiany. Pokrycia ceramiczne,dachówką cementową lub blachodachówką - matowe, w kolorach naturalnej ceramiki.
  9. Ogrodzenia bez cokołów, wykonane z materiałów naturalnych lub żywopłoty chronione siatką; od strony ulic o wys. 1,2÷1,3 m.
4) ustalenia   zasad parcelacji
  1. Parcelacja  w/g rysunku zmiany, z dopuszczalną tolerancją liniową - minimalna powierzchnia działki 1000 m2.
  2. Dopuszcza się realizacje inwestycji na połączonych działkach.
5) ustalenia   ekologiczne
  1. Powierzchnia terenu biologicznie czynna - min. 60% powierzchni działki - bez powierzchni tarasów.
  2. Zasada kompozycji zieleni wysokiej w/g rys. zmiany.
6) ustalenia komunikacyjne
  1. Parkowanie w granicach własnej działki.

4.  Teren o symbolu 4 UT z przeznaczeniem na cele zabudowy rekreacyjno - letniskowej      i pola namiotowego.

1) powierzchnia terenu 0,56 ha
2) ustalenia   funkcjonalne
  1. Zabudowa rekreacyjna – letniskowa.
  2. Na części terenu dopuszcza się lokalizację pola namiotowego.
3) ustalenia kompozycji  i form zabudowy
  1. Zespół zabudowy wolnostojącej.
  2. Konieczny zespół jednorodny architektonicznie i kolorystycznie.
  3. Nieprzekraczalne linie zabudowy - w/g rysunku zmiany.
  4. Łączna powierzchnia zabudowy - do 20 % powierzchni terenu.
  5. Wysokość zabudowy - 2 kondygnacje.  Wysokość do kalenicy - do 6,0 m.
  6. Dachy symetryczne dwupołaciowe, z dopuszczeniem lukarn; kąt nachylenia połaci głównych 40÷450; usytuowane szczytowo do ul. 02 KD-P.

Pokrycia matowe, w dopuszczalnych kolorach: ceramiki, brązu, zieleni, szarości.

  1. Ogrodzenie terenu bez cokołów, wykonane z materiałów naturalnych lub żywopłoty chronione siatką; od strony ulicy   o wys. 1,2÷1,3 m.
4) ustalenia  zasad parcelacji Dopuszcza się parcelację terenu na działki o min. powierzchni 1000 m2, z dostępem do ul. 02 KD-P bezpośrednim lub poprzez wewnętrzne ciągi komunikacyjne.
5) ustalenia  ekologiczne
  • Powierzchnia terenu biologicznie czynna - min. 60% powierzchni terenu.
  • Zasada kompozycji zieleni wysokiej w/g rys. zmiany.
6) ustalenia komunikacyjne
  • Konieczne przejście piesze do terenu 6 ZN - w rejonie wg rys. zmiany.
  • Parkowanie w granicach terenu na zorganizowanym parkingu lub pojedynczo przy zabudowie letniskowej.

5. Teren o symbolu 5 MR z przeznaczeniem na cele agroturystycznego gospodarstwa rolnego.

1) powierzchnia terenu 2,14 ha
2) ustalenia   funkcjonalne Agroturystyczne gospodarstwo rolne o kierunku hodowli koni sportowych.
3) ustalenia kompozycji    i form zabudowy
  • Orientacyjna lokalizacja zabudowy wg rys. zmiany.
  • Typ zabudowy – zespół zabudowy wolnostojącej.
  • Nieprzekraczalne linie zabudowy - w/g rysunku zmiany.
  • Wysokość zabudowy mieszkaniowej - 2 kondygnacje nadziemne. Wysokość do kalenicy - do 10,0 m.  Dopuszcza się dominanty wysokościowe na powierzchni do 10 % jego powierzchni zabudowy.
  • Wysokość zabudowy gospodarczej - do 2 kondygnacji.  Wysokość do kalenicy - do 7,0 m.
  • Dachy symetryczne dwupołaciowe - z dopuszczeniem lukarn, ryzalitów i.t.p. o kącie nachylenia połaci głównych:
  1. zabudowy mieszkaniowej - 40÷450,
  2. zabudowy gospodarczej - min. 300 .
  • Usytuowanie kalenic w/g rys. zmiany.
  • Pokrycia budynku mieszkalnego ceramiczne, dachówką cementową lub blachodachówką - matowe, w kolorach naturalnej ceramiki.
  • Ogrodzenia bez cokołów, wykonane z materiałów naturalnych lub żywopłoty chronione siatką; od strony ulicy o wys. 1,2÷1,3 m.
4) ustalenia  zasad parcelacji Nie wprowadza się ustaleń.
5) ustalenia    ekologiczne Zasada kompozycji zieleni wysokiej w/g rys. zmiany.
6) ustalenia komunikacyjne Nie wprowadza się ustaleń.

6. Teren o symbolu 6 ZN z przeznaczeniem na cele przywodnej zieleni naturalnej.

1) powierzchnia terenu 0,54 ha
2) ustalenia funkcjonalne a)     Przywodna zieleń naturalna.
b)     Istniejący rów melioracyjny do zachowania.
3) ustalenia kompozycji  i form zabudowy Zakaz zabudowy i zagospodarowania.
4) ustalenia  zasad parcelacji Zakaz parcelacji.
5) ustalenia  ekologiczne Nie wprowadza się ustaleń.
6) ustalenia komunikacyjne Istniejące przejścia piesze do zachowania.

7. Teren o symbolu  7 ZP z przeznaczeniem na celezieleni parkowej.

1) powierzchnia terenu  0,26 ha
2) ustalenia funkcjonalne Zieleń parkowa wysoka. Plaże trawiaste.
3) ustalenia kompozycji  i form  zabudowy Zakaz  zabudowy.
4) ustalenia   zasad parcelacji Zakaz parcelacji.
5) ustalenia  ekologiczne
  • Zachowanie powierzchni naturalnej.
  • Wzbogacenie zieleni wysokiej gatunkami zgodnymi z lokalnymi warunkami siedliskowymi.
6) ustalenia komunikacyjne Nie wprowadza się ustaleń.

8. Teren o symbolu  01 KD z przeznaczeniem na cele ulicy dojazdowej.

1) powierzchnia terenu 0,21 ha
2) ustalenia funkcjonalne a)      Gminna publiczna ulica klasy dojazdowej.

b)      Możliwość pełnego uzbrojenia miejskiego.

3) ustalenia kompozycji    i form zabudowy Nie wprowadza się ustaleń.
4) ustalenia   zasad parcelacji Nie wprowadza się ustaleń.
5) ustalenia    ekologiczne Nie wprowadza się ustaleń.
6) ustalenia komunikacyjne a)     Szerokość w liniach rozgraniczenia 10,5 ÷17,0 m   - w/g istniejących granic.

b)     Przekrój poprzeczny :  - 1 jezdnia o szer. min. 6,0 m, -  pobocza utwardzone.

9. Teren o symbolu  02 KD-P z przeznaczeniem na cele ciągu pieszo-dojazdowego.

1) powierzchnia terenu 0,18 ha
2) ustalenia funkcjonalne
  • Wewnętrzny, niepubliczny ciąg pieszo-dojazdowy typu „sięgacz”.
  • Lokalizacja przepompowni ścieków - w/g rysunku zmiany.
  • Możliwość podstawowego uzbrojenia miejskiego.
3) ustalenia kompozycji    i form zabudowy Nie wprowadza się ustaleń.
4) ustalenia  zasad parcelacji Nie wprowadza się ustaleń.
5) ustalenia ekologiczne Nie wprowadza się ustaleń.
6) ustalenia komunikacyjne
  1. Szerokość w liniach rozgraniczenia 8,0 m, z poszerzeniem w/g rysunku zmiany.
  2. Przekrój poprzeczny: - bez wydzielania jezdni,  - nawierzchnia przepuszczalna.

Rozdział 3
Zasady obsługi w zakresie infrastruktury technicznej

§ 4.

  1. Ustala się następujące zasady obsługi w zakresie infrastruktury technicznej :
    1. zaopatrzenie w wodę:
      1. projektowaną siecią z istniejącego poza obszarem opracowania wodociągu komunalnego,
      2. dopuszcza się zaopatrzenie z lokalnego ujęcia zlokalizowanego na obszarze opracowania, na terenie 5 MR -  po przeprowadzeniu badań hydrogeologicznych, 
      3. zaopatrzenie w wodę ze studni awaryjnej, zgodnie z aktualnie obowiązującymi przepisami w sprawie zaopatrzenia w wodę w warunkach specjalnych, zlokalizowanej na terenie opracowania; dopuszcza się lokalizację studni na terenie 5 MR.
    2. odprowadzanie ścieków sanitarnych:
      1. do oczyszczalni komunalnej projektowaną siecią kanalizacji sanitarnej grawitacyjno - tłocznej poprzez projektowaną na terenie 02 KD-P przepompownię ścieków,
      2. do czasu realizacji komunalnej oczyszczalni ścieków i sieci kanalizacji sanitarnej dopuszcza się lokalizacje bezodpływowych zbiorników szczelnych lub przydomowych oczyszczalni ścieków, spełniając wymogi zawarte w rozporządzeniu ministra ochrony środowiska, zasobów naturalnych i leśnictwa z dnia 5 listopada 1991 r. w sprawie klasyfikacji wód oraz warunków, jakim powinny odpowiadać ścieki wprowadzane do wód lub do ziemi, lub innych aktualnie obowiązujących w tym zakresie przepisów,
      3. po wykonaniu komunalnej oczyszczalni ścieków i sieci kanalizacyjnej w ul. 01 KD ustala się wymóg przyłączenia do niej wszystkich obiektów zlokalizowanych na obszarze opracowania.
    3. usuwanie odpadów:
      1. miejski system gromadzenia odpadów, z selektywną zbiórką „u źródła”,
      2. wywóz zgromadzonych odpadów specjalistycznym transportem na zorganizowane wysypisko komunalne,
    4. zaopatrzenie w energię elektryczną:
      1. zasilanie z projektowanej stacji transformatorowej 15/0,4 kV,
      2. projektowane obiekty zasilać siecią kablową niskich napięć, 
    5. zaopatrzenie w ciepło:
      1. obszar opracowania objęty indywidualnym systemem grzewczym,
      2. dopuszcza się wyłącznie „ekologiczne” źródła ciepła,
      3. projektowane źródła ciepła mogą zasilać obiekty na sąsiednich posesjach.
  2. Sieci infrastruktury technicznej ułożyć w liniach rozgraniczenia ulic i w wewnętrznych ciągach komunikacyjnych. 

Rozdział 4
Przepisy końcowe

§ 5.

  1. Zmienia się przeznaczenie 2,126 ha gruntów rolnych na cele nierolnicze, w tym :
    1. 1,84 ha gruntów ornych pochodzenia mineralnego kl. R III b - za zgodą GZ.tr.057-602-484/03 Ministra Rolnictwa i Rozwoju Wsi  z dnia 9 września 2003 r.,
    2. 0,036 ha gruntów ornych pochodzenia mineralnego kl. R IVa  oraz 0,25 ha użytków zielonych pochodzenia organicznego kl. Ps IV.
  2. Na obszarze objętym niniejszą zmianą wprowadza się zakaz lokalizacji obiektów  tymczasowych, nietrwałych i innych nie odpowiadających ustaleniom niniejszej zmiany.
  3. Do czasu realizacji ustaleń zawartych w § 3 dopuszcza się dotychczasowy sposób użytkowania terenów, z zakazem lokalizacji tymczasowych obiektów nietrwałych.
  4. Ustala się stawkę procentową służącą wyliczeniu opłaty, o której mowa w art. 36 ust. 3 ustawy o zagospodarowaniu przestrzennym w wysokości 10 % .
  5. Na obszarze objętym niniejszą zmianą w planie tracą moc ustalenia miejscowego planu ogólnego zagospodarowania przestrzennego miasta i gminy Gryfino, zatwierdzonego Uchwałą Nr XIII/90/90 G.R.N. w Gryfinie z dnia 26 kwietnia 1990 r. (Dz. Urz. Woj. Szczecińskiego z 1990 r. Nr 14 poz. 204).
  6. Wykonanie niniejszej uchwały powierza się Burmistrzowi Miasta i Gminy Gryfino.

§ 6. Uchwała wchodzi w życie po upływie 14 dni od dnia jej ogłoszenia w Dzienniku Urzędowym Województwa Zachodniopomorskiego.

 

PRZEWODNICZĄCY RADY

Jan Ragan

 

U z a s a d n i e n i e

do uchwały w sprawie uchwalenia zmiany miejscowego planu ogólnego zagospodarowania przestrzennego miasta i gminy Gryfino, obejmującej teren położony przy ul. Polnej w obrębie Wełtyń. 
Uchwalenie zmiany w planie ogólnym zagospodarowania przestrzennego miasta i gminy Gryfino obejmującej teren położony przy ul. Polnej w obrębie Wełtyń następuje w konsekwencji procedury przeprowadzonej na koszt właścicieli działek objętych opracowaniem.
Wprowadzenie zmiany w planie pozwoli na inwestowanie właścicielom terenów w sposób, o który wnioskowali na etapie przystępowania do zmiany w planie.
Zgodnie ze „Studium uwarunkowań i kierunków rozwoju przestrzennego gminy” przedmiotowa działka położona jest na terenie funkcji: rolnictwo proekologiczne z dopuszczeniem zabudowy rekreacyjnej. Na etapie wyłożenia projektu zmiany w planie do publicznego wglądu nie wpłynęły żadne protesty i zarzuty, a procedura została przeprowadzona z zachowaniem terminów przewidzianych w ustawie.
W świetle powyższego uzasadnionym wydaje się uchwalenie zmiany w planie.